Thông tin cơ bản
Thông tin mô tả:
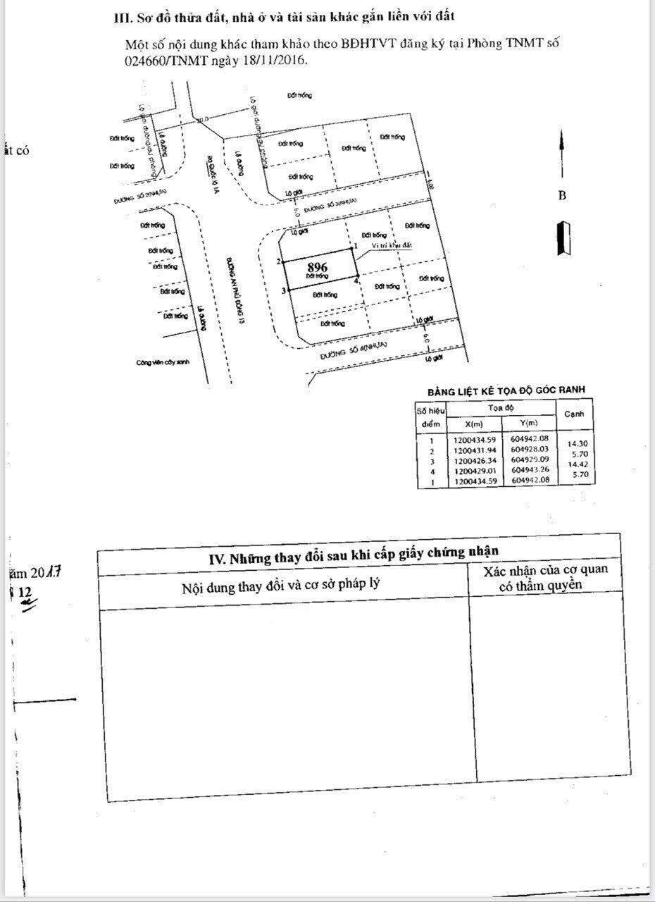
Bán đất ngay An Phú Đông Riverside. – Mặt tiền APĐ 13, quận 12: Ngay sông Sài Gòn. – DT: 5.7m x 14.7m = 81.9m². – Giá: 6.5 tỷ. – Đường 20m. – Hướng Tây.
Số điện thoại phụ
Quý khách mua sản phẩm qua Nhà đất CN sẽ được quyền lợi như sau:
- Được chúng tôi tận tình tư vấn và phục vụ Quý khách.
- Mua được Bất Động Sản mong đợi với giá hợp lý
- Quý khách an tâm về hồ sơ pháp lý BĐS vì đã được Chúng tôi kiểm tra
- Chúng tôi sẽ hỗ trợ chuyển nhượng BĐS cho Quý khách cho đến khi chuyển sang tên







