Thông tin cơ bản
Thông tin mô tả:
Thông tin mô tả:
Bán đất tại dự án Riverside, đường An Phú Đông 13, TP. Hồ Chí Minh.
VỊ TRÍ ĐẮC ĐỊA:
Đường trước nhà 20m, cách QL1A 400m, Thuận tiện kết nối các tiện ích
Xung quanh đầy đủ tiện ích sống.
Cách sông Sài Gòn 150m
TIỀM NĂNG VÔ HẠN:
Khu vực đang có tốc độ phát triển nhanh chóng, Quy hoạch hạ tầng đồng bộ,Thích hợp xây dựng nhà ở, kinh doanh, hoặc cho thuê
tiện xây căn hộ dv
Diện tích lý tưởng để xây dựng nhà phố, cửa hàng, Hướng đất đẹp mặt tiền đẹp.
Cạnh sông Sài Gòn tạo ra môi trường sống rất thoáng đãng
THÔNG TIN CHI TIẾT:
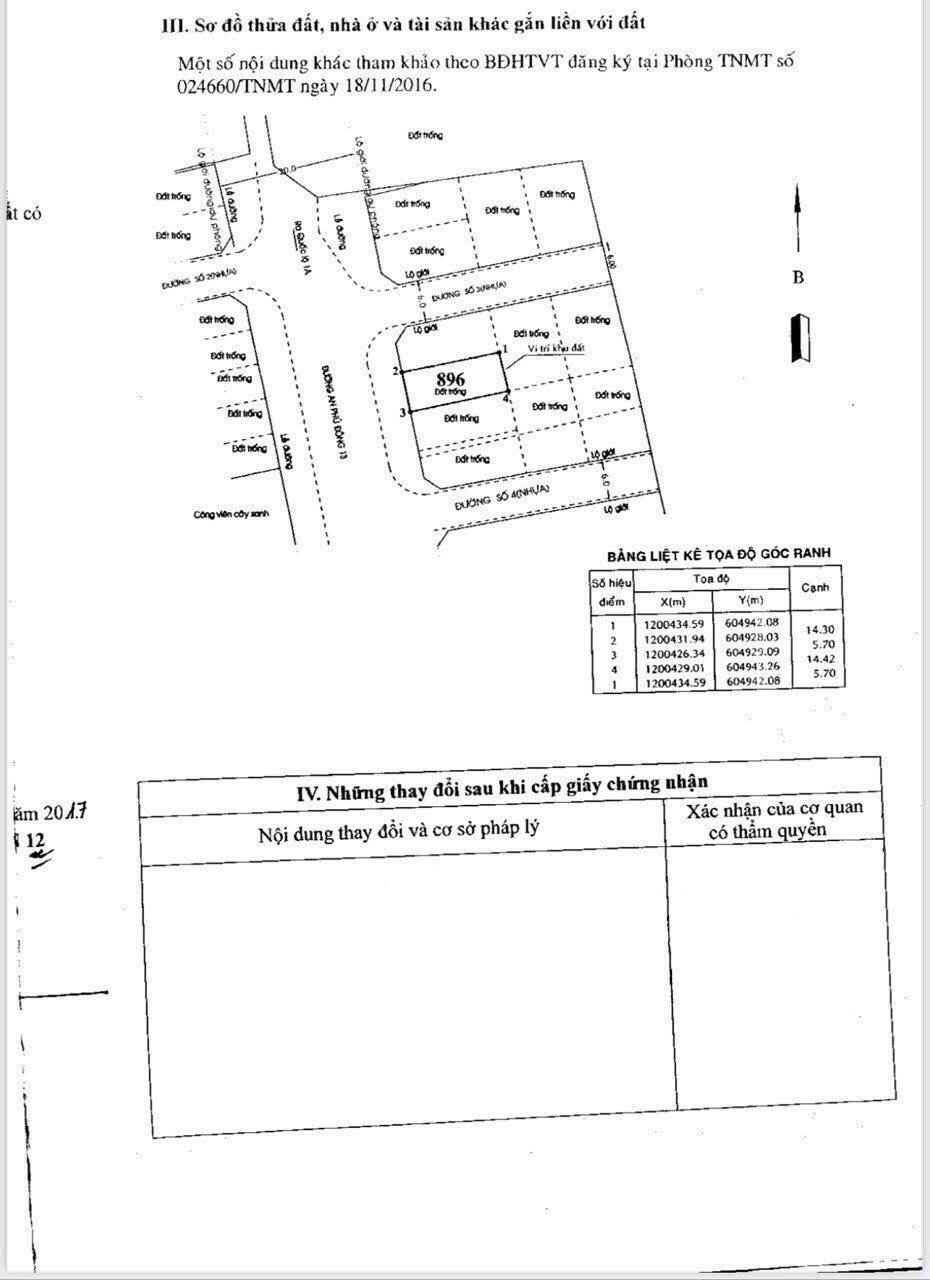
Diện tích: 5,7 x 14,7m²
Giá bán: 7 tỷ
Pháp lý: Sổ hồng riêng, công chứng ngay trong ngày.
Hướng Tây
ĐỪNG CHẦN CHỪ!
Đây là cơ hội hiếm có để sở hữu một bất động sản đầy tiềm năng. Liên hệ ngay để không bỏ lỡ:
Hotline: 0913 836 331
Email: nnvchi@gmail.com
Địa chỉ tài sản: Đường An Phú Đông 13, phường An Phú Đông, tp. HCM
Số điện thoại phụ
Quý khách mua sản phẩm qua Nhà đất CN sẽ được quyền lợi như sau:
- Được chúng tôi tận tình tư vấn và phục vụ Quý khách.
- Mua được Bất Động Sản mong đợi với giá hợp lý
- Quý khách an tâm về hồ sơ pháp lý BĐS vì đã được Chúng tôi kiểm tra
- Chúng tôi sẽ hỗ trợ chuyển nhượng BĐS cho Quý khách cho đến khi chuyển sang tên






